Dünyada xəbərlər
Bu evlilik təklifi sosial şəbəkədə çox PAYLAŞILDI - VİDEO
Son zamanlar evilik təklifləri daha çox qeyri-adı formada edilir. Maraqlı evlilik təklifinə biri daha əlavə olunub. BİG.AZ-a istinadən xəbər verir ki, Türkiyənin İstanbul şəhərində bir gəncin etdiyi sadə evlilik təklifi isə sosial mediada ən çox paylaşılan video olub. Gənc bir müddətdir birlikdə olduğ
15 dekabr 2023
"Biz və Ermənistan müttəfiqik" - Rusiya Baş nazirinin müavini
Rusiya Baş nazirinin müavini Aleksey Overçuk Ermənistan ilə Rusiya arasında iqtisadi əməkdaşlıq üzrə hökumətlərarası sessiyada qeyd edib ki, Ermənistan və Rusiya arasında qarşılıqlı hörmət prinsiplərinə əsaslanan tarixi, dostluq münasibətləri mövcuddur. xəbər verir ki, bu barədə erməni mətbuatı məluma
15 dekabr 2023
Başqa ölkəyə keçmək üçün görün hansı addıma əl atdılar
Yunanıstana daxil olmaq istəyən 29 qeyri-qanuni mühacir yük maşınında saxlanılıb. BİG.AZ-a istinadən xəbər verir ki, hadisə Yunanıstana açılan İpsala Sərhəd Qapısında baş verib. Yunanıstana dəmir avadanlıqları aparan alban sürücünün idarə etdiyi yük maşınında yoxlanış aparılıb. Sənədlərdə dəmir materia
15 dekabr 2023
Ermənistanda atom enerji bloklarının tikintisi üzrə danışıqlar aparılır
"Ermənistan və Rusiya tərəfləri hazırda Ermənistanda yeni atom enerji bloklarının tikintisi ilə bağlı danışıqlar aparırlar". xəbər verir ki, bu sözləri Rusiya Federasiyasının Baş nazirinin müavini Aleksey Overçuk Ermənistan Respublikası və Rusiya Federasiyası arasında iqtisadi əməkdaşlıq üzr
15 dekabr 2023
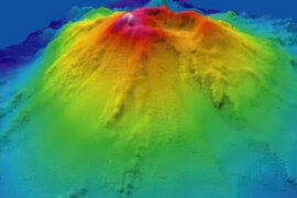
İllərdir Yaponiyanın silkələnməsinə səbəb olan mənbə tapıldı
Daiçi-Kaşima sualtı dağı kimi tanınan sönmüş sualtı vulkan Yaponiyanın şərq sahillərindən təxminən 40 kilometr aralıda Sakit okean tektonik plitəsində yerləşir. Üç tektonik plitə məhz burada kəsişir: şərqdə Sakit okean plitəsi, cənubda Filippin plitəsi və hər ikisinin qaçılmaz şəkildə altına sürüşdüklər
15 dekabr 2023
Ermənistan və Nepal xarici işlər nazirləri görüşüb
Ermənistanın xarici işlər naziri Ararat Mirzoyan Nepalın xarici işlər naziri Narayan Prakaş Səud ilə görüş keçirib. xəbər verir ki, bu barədə erməni mətbuatı məlumat yayıb. Görüş zamanı Ermənistan və Nepal arasında əlaqələrin inkişaf perspektivləri müzakirə olunub. Tərəflər müqavilə-hüquq bazasının genişləndirilməs
15 dekabr 2023
Altı ildir itkin düşmüş uşaq başqa ölkədə tapıldı, valideynlərindən də xəbər yoxdur!
İtkin düşdüyü bildirilən 17 yaşlı britaniyalı oğlan altı ildən sonra Fransada tapılıb. BİG.AZ-a istinadən xəbər verir ki, Fransanın Tuluza şəhər prokurorluğu BBC-yə verdiyi açıqlamada Aleks Batti adlı oğlanın şəhərdəki gənclər mərkəzində olduğunu və qısa müddətdə İngiltərəyə qaytarılacağını bildirib
15 dekabr 2023
Əsir alınan fələstinlilərin sayı 4420 nəfərə çatıb
Oktyabrın 7-dən bəri işğal altındakı İordan çayının qərb sahili və Şərqi Qüdsdə İsrail qüvvələri tərəfindən əsir alınan fələstinlilərin sayı 4420 nəfərə çatıb. xəbər verir ki, məsələ ilə bağlı Fələstin Əsirlər Dərnəyi yazılı açıqlama verib. Oktyabrın 7-dən bəri işğal altındakı İordan çayının qərb sahil
15 dekabr 2023
Liviyada daşqınlar nəticəsində ölənlərin sayı 6000-ə çatıb
Liviyada daşqınlar nəticəsində ölənlərin sayı artıb. xəbər verir ki, ölənlərin sayı 600-i keçib, minlərlə insanın itkin düşüb. Ərazidə axtarış-xilasetmə işlərini davam edir. Daha ətraflı olaraq bölgədən olan videonu təqdim edirik:
15 dekabr 2023
Bir zəngə görə arvadını boğub öldürdü
Rusiyada arvadını öldürən kişi 7 il azadlıqdan məhrum edilib. -a istinadla bildirir ki, iyunun 8-də Arxangelskdə bir kişi evində sərxoş halda arvadının keçmiş sevgilisindən zəng aldığını görüb. Qadın onunla telefonla danışıb. Bundan sonra kişi qısqanclıq zəminində partnyoruna hücum edib və onu çarpayıd
15 dekabr 2023
Məktəbdə biabırçılıq! Müəllim şagirdlərinə "terror hücumu planlaşdırmaq" tapşırığını verdi
İsveçdə bir müəllim lisey şagirdlərinə "hipotetik terror hücumu planlaşdırmaq" tapşırığı verdiyi səbəbi ilə vəzifəsindən uzaqlaşdırılıb. -a istinadən xəbər verir ki, ölkənin cənubundakı Jönköping şəhərində liseydə işləyən müəllim şagirdlərinə "hipotetik terror hücumu planlaşdırmaq"
15 dekabr 2023
Qazaxıstanın cənubunda qar fırtınası ilə əlaqədar fövqəladə vəziyyət elan edilib
Qazaxıstanın cənubundakı Cambil vilayətində qar fırtınası ilə əlaqədar regional fövqəladə vəziyyət elan edilib. xəbər verir ki, bu barədə əyalət qubernatorluğundan açıqlama verilib. Açıqlamada güclü külək və qar yağması səbəbindən əyalətin 4 rayonunda elektrik enerjisinin kəsildiyi bildirilib. Bunda
15 dekabr 2023
İranda polis idarəsinə silahlı hücum: 12 ölü
İranda polis idarəsinə silahlı hücum olub. xəbər verir ki, hadisə nəticəsində 12 nəfər ölüb, digərlərini isə yaralayıb. Bu barədə İranın rəsmi xəbər agentliyi "İRNA" məlumat yayıb. Məlumatına görə, Sistan-Bəlucistan valiliyi gecə saatlarında həyata keçirilən hücumla bağlı açıqlama verib. Araşdırmala
15 dekabr 2023
Çində yağan güclü qar səbəbindən minlərlə aviareys təxirə salınıb
Çində yağan güclü qar səbəbindən minlərlə daxili və beynəlxalq reys təxirə salınıb. xəbər verir ki, təxirə salınma səbəbi ölkənin şimalına təsir edən qar yağışıdır. Bu barədə Çin Meteorologiya İdarəsi məlumat yayıb. Caixin tərəfindən uçuş məlumat xidmətləri təminatçısı Flight Masterdan verilən məlumat
15 dekabr 2023
Səhnədə infarkt keçirən braziliyalı sənətçi dünyasını dəyişib
Braziliyada 30 yaşlı sənətçi Pedro Henrique internetdə yayımlanan dini tədbirdə səhnədə mahnı oxuyarkən ürək tutmasından dünyasını dəyişib. xəbər verir ki, Braziliyanın Feira De Santana şəhərində baş verib. Henrike mahnı oxuyarkən müvazinətini itirərək kürəyi üstə yıxılıb və tamaşaçılar dərhal kömə
15 dekabr 2023
29 mühacir Yunanıstana gedən yük maşınında saxlanılıb
Yunanıstana gedən 29 mühacir yük maşınında saxlanılıb. xəbər verir ki, Yunanıstana açılan İpsala Sərhəd Qapısında 29 Suriya vətəndaşı qeyri-qanuni mühacir yük maşınında yaxalanıb. Qanuni yükü dəmir material olan yük maşınına baxış zamanı müxtəlif sıxlıqlar aşkar edilərək qoşqu açılıb. Qeyri-qanuni immiqrantları
15 dekabr 2023
İsrail ordusu məktəbi bombalayıb: 5 ölü
İsrail ordusu Qəzza zolağının cənubundakı Xan Yunus şəhərində köçkünlərin sığındığı məktəbi bombalayıb. xəbər verir ki, bu barədə Fələstinin rəsmi xəbər agentliyi "WAFA" məlumat yayıb. Hadisə nəticəsində 5 nəfər ölüb, onlarla insan yaralanıb. Gecə saatlarında Xan Yunisin qərbində İsrail qüvvələrini
15 dekabr 2023
Tibbdə inqilabi kəşf: Koronavirusun insan orqanizmində gizli hissəcikləri aşkar edilib
Hindistanlı alimlər insan orqanizmində SARS-CoV-2 koronavirusunun gizli hissəciklərini aşkar ediblər. Bu barədə Nyu-Delhi Qaraciyər və Öd Yolları Tədqiqatları İnstitutundan bildirilib. Alimlər hüceyrədənkənar vezikulları (hüceyrələr tərəfindən ifraz olunan kiçik hissəcikləri) tədqiq ediblər və orad
15 dekabr 2023
Pakistanda silahlıların hücumu nəticəsində 2 polis əməkdaşı həlak olub
Pakistanın Hayber Paxtunxva əyalətində silahlıların polis qərargahına hücumu nəticəsində yaranan qarşıdurmada 2 polis əməkdaşı həlak olub, 3 polis əməkdaşı yaralanıb, 1 silahlı isə zərərsizləşdirilib. xəbər verir ki, bu barədə Geo News məlumat yayıb. İslamabad hücumların Əfqanıstanda yerləşən Pakista
15 dekabr 2023
Pakistanda silahlıların hücumu nəticəsində 2 polis əməkdaşı öldü
Pakistanın Hayber Paxtunxva əyalətində silahlıların polis qərargahına hücumu olub. xəbər verir ki, hadisə nəticəsində 2 polis əməkdaşı həlak olub, 3 polis əməkdaşı yaralanıb, 1 yaraqlı isə zərərsizləşdirilib. Bu barədə "Geo News" televiziyası xəbər yayıb. Bu il ölkədə xüsusən də Hayber Paxtunxv
15 dekabr 2023
17 yaşlı yeniyetmə özünün metronun relslərinə ATDI
Ankarada axşam saatlarında 17 yaşlı gənc özünü metroda relslərə ataraq həyatına son qoymağa çalışıb. BİG.AZ xarici mediaya istinadən xəbər verir ki yanğınsöndürənlər tərəfindən olduğu yerdən çıxarılan uşaq xəstəxanaya çatdırılıb və tibbi yardım göstərilib. Yeniytmənin . Hadisə saat 22.30 radələrind
14 dekabr 2023
İsrailin əsir götürdüyü fələstinlilərin sayı 4400-ü keçib
Oktyabrın 7-dən bəri işğal altındakı İordan çayının qərb sahili və Şərqi Qüdsdə İsrail qüvvələri tərəfindən əsir alınan fələstinlilərin sayı 4400-ü keçib. xəbər verir ki, Məsələ ilə bağlı Fələstin Əsirlər Dərnəyi və Fələstin Azadlıq Təşkilatına bağlı Fələstin Məhbus İşləri Komitəsi birgə yazılı açıqlam
14 dekabr 2023
Kraliça Elizabetin ölümünü bilmişdi! "Qiyamətin kahini"ndən 2024-cü il üçün qorxudan PROQNOZLARI
Astrologiyadan və dəqiq zaman məlumatlarından istifadə edən kahin Nostradamus, proqnozları ilə yenidən gündəmdədir. -a istinadən xəbər verir ki, Çernobıl faciəsi, Hitlerin yüksəlişini dəqiq proqnozlaşdırdığı deyilən Nostradamusun 2024-cü il üçün iddiaları ortaya çıxıb: . 1 "Qiyamətin kahini"
14 dekabr 2023
Fələstin Qızıl Aypara Cəmiyyəti: "İsrail ordusu 2 saatdır ki, Xan Yunisin mərkəzini artilleriya atəşi ilə vurur"
İsrail ordusu Qəzzanın cənubundakı Xan Yunisdəki Qızıl Aypara qərargahını və Əl-Amel xəstəxanasını artilleriya atəşi ilə bombalayıb. xəbər verir ki, Fələstin Qızıl Aypara Cəmiyyətindən verilən açıqlamada İsrail artilleriyasının 2 saatdır Xan Yunus mərkəzini bombaladığı bildirilib. "İsrail artilleriyasını
14 dekabr 2023
Oğlan evinin tələb etdiyi cehizi ala bilməyən 28 yaşlı qız intihar etdi
Hindistanda dəhşətli hadisə baş verib. -ə istinadən xəbər verir ki, həkim işləyən 28 yaşlı Shahanana intihar edib. Onun canına qəsd etməsinə səbəb nişanlısının ailəsinin ondan bahalı cehiz tələb etməsi olub. Shahananın ailəsinin maddi imkanı az olduğundan cehizi ala bilməyib. O qaldığı hosteldə ölü vəziyyətd
14 dekabr 2023
Qətər fələstinlilərə 50 milyon dollarlıq humanitar yardım ayırıb
Qətər oktyabrın 7-dən İsrailin intensiv hücumlarına məruz qalan Qəzza zolağının sakinlərinə 50 milyon dollarlıq humanitar yardım göstərməyi öhdəsinə götürüb. xəbər verir ki, Qətər Xarici İşlər Nazirliyindən verilən açıqlamada, yardım qərarının Qəzzada didərgin düşmüş fələstinlilərin şəraitinin yaxşılaşdırılmas
14 dekabr 2023
Ukrayna ordusu Rusiyaya məxsus pilotsuz uçuş aparatını (PUA) vurub
Ukrayna ordusu bu gecə Rusiyaya məxsus 41 "Şahid" tipli pilotsuz uçuş aparatını (PUA) vurub. xəbər verir ki, Ukrayna Fövqəladə Hallar üzrə Dövlət Xidmətindən verilən açıqlamada Rusiyanın Odessa vilayətinə hücumları nəticəsində 3-ü uşaq olmaqla 11 nəfərin yaralandığı, avtomobildə və binada
14 dekabr 2023
"Spider-Man" aktyorunu görənlər təəccüblənir! Tanınmaz halda - FOTOLAR
Hörümçək adam filmindəki obrazı ilə yadda qalan məşhur aktyor Ceyms Frankonun son görünüşü təəccübləndirib. -a istinadən xəbər verir ki, vaxtilə cinsi münasibət aludəçisi olduğunu etiraf edən aktyor tənqidlərə məruz qalırdı. 45 yaşlı məşhur aktyor bir müddətdir ki, filmə çəkilmir. Amerikalı aktyoru
14 dekabr 2023
Qırğızıstanla Tacikistan arasında mübahisəli sərhədin daha 47 kilometri ilə bağlı razılıq əldə olunub
Qırğızıstanla Tacikistan arasında mübahisəli sərhədin daha 47 kilometri ilə bağlı razılıq əldə olunub. xəbər verir ki, Qırğızıstan hökumətinin mətbuat xidmətinin verdiyi məlumata görə, 8-14 dekabr tarixlərində Qırğızıstanın Batken şəhərində sərhəd təyinetmə komitələri iclas keçirib. Qırğızıstan-Tacikista
14 dekabr 2023
Hizbullah İsrailin hərbi məntəqəsinə hücum edib
Hizbullah Livanın cənubundakı İsrail hərbi məntəqəsinə hücum edib. xəbər verir ki, Hizbullah məsələ ilə bağlı yazılı açıqlama verib. Livanın rəsmi xəbər agentliyi NNA-nın məlumatına görə, İsrail artilleriya birlikləri Livanın cənubundakı Alma əş-Şaab və Nakura qəsəbələri ilə Xiyam qəsəbəsi ətrafını hədəf
14 dekabr 2023
Suni intellektə görə Bakıya nə zaman qar yağacaq?
XƏBƏRDARLIQ - Bu tarixdən QAR yağacaq, yollar buz bağlayacaq
Bu balığı tutdular deyə dövlət onlara milyonlarca pul ödədi - VİDEO
Azərbaycanda Ai-92 markalı benzin 5 qəpik, dizel 10 qəpik BAHALAŞIR
Bu balığı ovladılar, 48 580 manat pul aldılar
Bütün İngiltərə Acun Ilıcalıdan danışır
Biraylıq icra başçısı olan Elxan İbrahimov kimdir?
Yeni il süfrəsi neçəyə başa gələcək? - Ərzaqlar və qiymətlər
Zaurun efirdə çətin anları - VİDEO
Prezident "Ağ Şəhər"lə bağlı paylaşım etdi - Video
"10 ildən çoxdur ki, anamı görmürəm" - Video
Prezident bu qanunlara dəyişiklikləri təsdiqlədi
Prezidentlə ailəsinin "Ağ Şəhər"dən - Fotoları
Azərbaycanda qaz və elektrik enerjisinə görə aylıq sabit tarif BİR MANAT olacaq
Bayram gününün havası ilə bağlı daha bir XƏBƏRDARLIQ
